family CERAMBYCIDAE Latreille, 1802
subfamily LAMIINAE Latreille, 1825
tribe Apodasyini Lacordaire, 1872
genus Deroplia Dejean, 1835
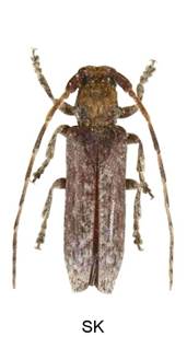
Deroplia genei genei (Aragona, 1830)



Velikost 6-10 mm.
Bionomie. Listnaté lesy a lesostepi. Podle Demelta (1966) výhradně ve větvích Quercus, které uhynuly vlivem žíru Coraebus fasciatus Vill. Larvy se kuklí v VII. – VIII. a přezimují v kukelních komůrkách. Larvy žijí v koncových suchých větvičkách Quercus, imaga jsou hotová na podzim a v tuto dobu vylézají z kukelních komůrek a přezimují u pat stromů v hrabance z listí apod., dvouletý vývoj. - Imaga je možné sklepávat časně z jara, někdy již v III., jinak IV. – V.
Živné rostliny - Quercus; Quercus cerris.
Deroplia troberti (Mulsant, 1843)
Deroplia troberti cruciata Sama, 1996

Deroplia genei Aragona, 1830 SK Quercus


Deroplia troberti cruciata Sama, 1996 GRK Oleander



